Serpentine Leaf Miner
Liriomyza brassicae (Riley, 1885)
Serpentine Leaf Miner: https://mail.marylandbiodiversity.org/species/15473
Synonyms
Cabbage Leafminer 
Tags

Map Snapshot

78 Records

Citations

No citations linked for this taxon yet.

Use of media featured on Maryland Biodiversity Project is only permitted with express permission of the photographer.

Source: Wikipedia

Serpentine leaf miner
Scientific classification Edit this classification
Kingdom: Animalia
Phylum: Arthropoda
Clade: Pancrustacea
Class: Insecta
Order: Diptera
Family: Agromyzidae
Subfamily: Phytomyzinae
Genus: Liriomyza
Species:
L. brassicae
Binomial name
Liriomyza brassicae
(Riley, 1885)[1]
Synonyms
  • Liriomyza hawaiiensis Frick, 1952[2]
  • Liriomyza ornephila Garg, 1971[3]
  • Oscinis brassicae Riley, 1885[1]
  • Phytomyza mitis Curran, 1931

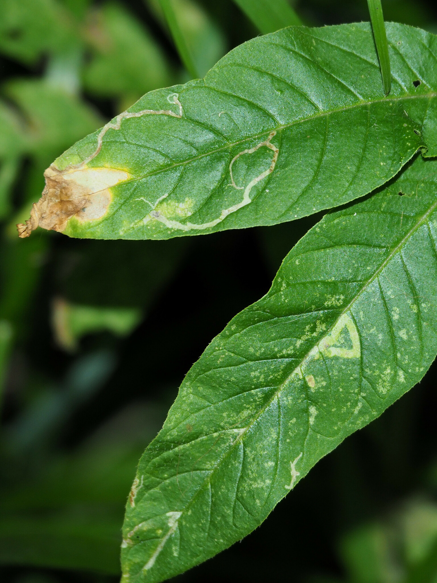
The serpentine leaf miner is the larva of a fly, Liriomyza brassicae, in the family Agromyzidae, the leaf miner flies. It mines wild and cultivated plants, such as cabbage, broccoli, cauliflower and Chinese broccoli.[4][5]

It is distributed in the Pacific, Africa, and the Americas.[6]

The life cycle of the fly is up to 21 days. It lays eggs in the leaf epidermis of host plants. Larvae hatch within four days. They are yellow or green and have three instars. It emerges from the pupa as an adult, a gray fly with black and yellow spots.[6]

The American serpentine leafminer (Liriomyza trifolii) is a closely related species, and Liriomyza huidobrensis is also known as the serpentine leafminer.[7] Another member of the genus, Liriomyza commelinae occurs widely in the neotropics and pupates within the mine. It feeds mainly on plants within the genus Commelina.

[edit]

The Wire song Outdoor Miner was inspired by co-writer Graham Lewis's fascination with this insect[8] and details its life cycle.[9]

References

[edit]
  1. ^ a b Riley, C.V. (1885). "Report of the entomologist". Comnr. Agr. RPT. U.S. Dept. Agr. 1884.
  2. ^ Frick, K.E. (1952). "Four new Hawaiian Liriomyza species and notes on other Hawaiian Agromyzidae (Diptera)". Proceedings of the Hawaiian Entomological Society. 14: 509–518.
  3. ^ Garg, P.K. (1971). "Studies on Agromyzidae (Diptera) from the Gangetic Basin: Part IV: Descriptions of four new species of Liriomyza Mik". Oriental Insects Suppl. 1: 235–246. doi:10.1080/00305316.1971.11745220.
  4. ^ "Species Liriomyza brassicae - Serpentine leaf miner". BugGuide. Retrieved 9 July 2017.
  5. ^ Spencer, Kenneth A. (1973). Agromyzidae (Diptera) of Economic importance Series Entomologica. Vol. 9. The Hague. D. Gld.: Dr. W. Junk bv. pp. xii + 418 p.
  6. ^ a b Liriomyza brassicae (Riley). Crop Knowledge Master. University of Hawaii.
  7. ^ "Liriomyza huidobrensis (serpentine leafminer)". CABI. 23 May 2016. Retrieved 9 July 2017.
  8. ^ Harper, Stephen (27 August 2016). "Cutting the Stone Out A Personal View of Wire". Wirewviews.com.
  9. ^ "Tuesday Tunes – Outdoor Miner – Biodiversity in Focus Blog". Biodiversityinfocus.com. 27 August 2016.
[edit]