Map Snapshot
113 Records
Where To Find
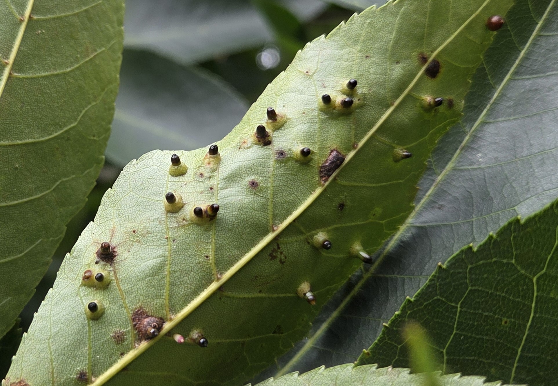
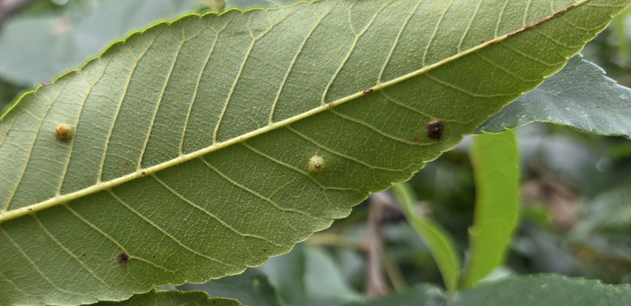
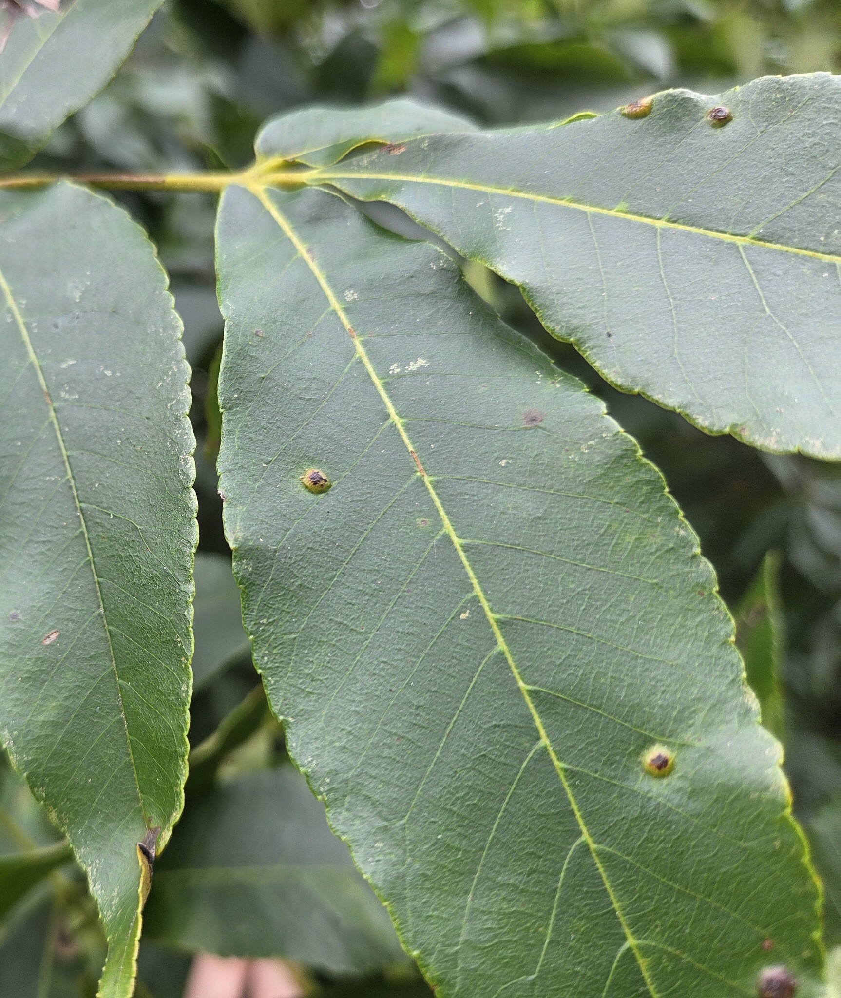
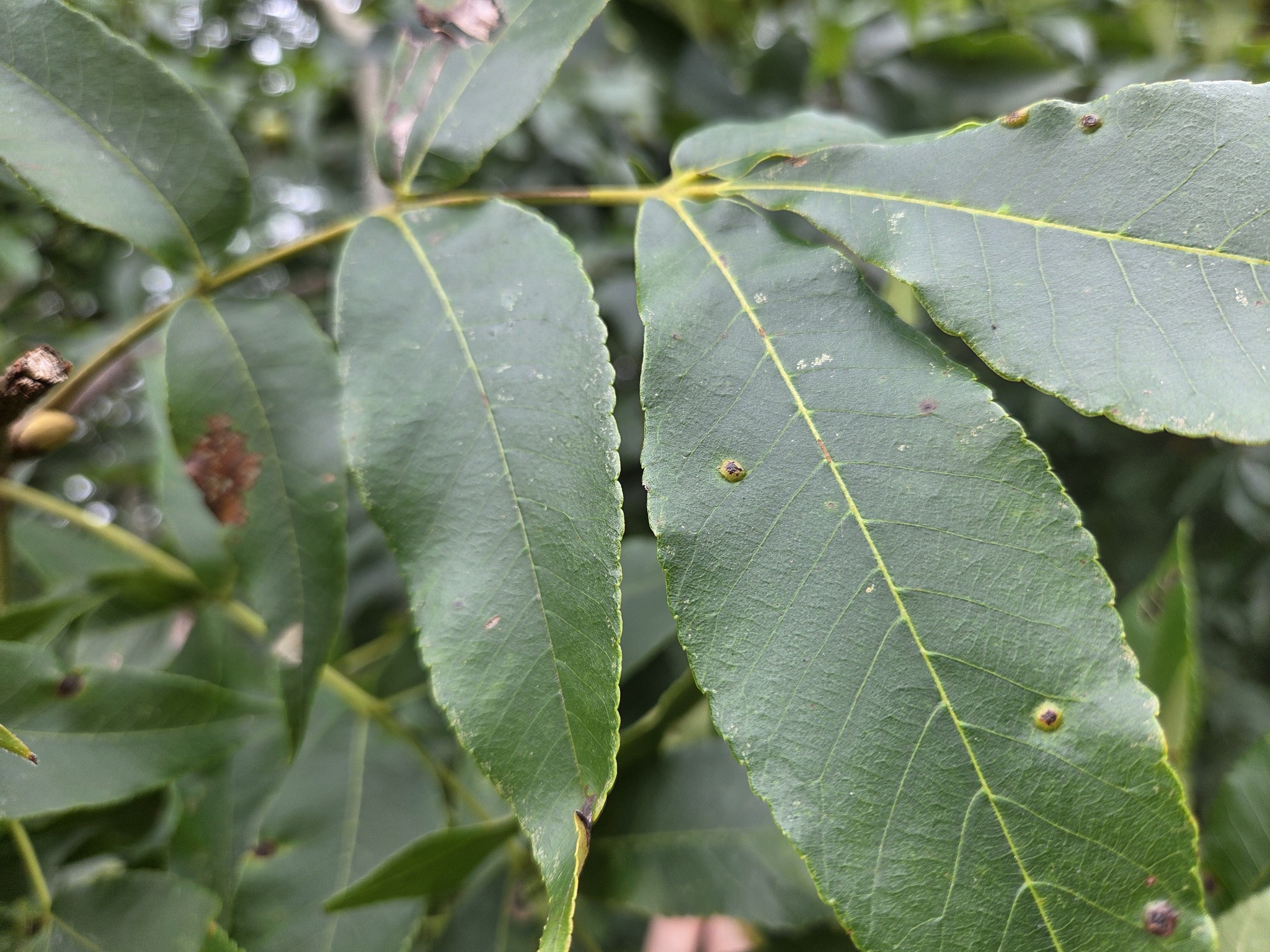
These galls grow on the undersides of hickory (Carya) leaves.
Citations
No citations linked for this taxon yet.
Use of media featured on Maryland
Biodiversity Project is only permitted with express permission of the
photographer.
Hickory Bullet Galls on a Mockernut Hickory leaf in Howard Co., Maryland (10/2/2014). Confirmed by Charley Eiseman/BugGuide.
View Record Details
Media by
Nancy Magnusson.
Hickory Bullet Gall Midge in Montgomery Co., Maryland (8/23/2020). (c) Emily Summerbell, Ph.D., some rights reserved (CC BY-NC).
View Record Details
Media by
Emily Summerbell, Ph.D. via iNaturalist.
Hickory Bullet Gall Midge in Montgomery Co., Maryland (8/23/2020). (c) Emily Summerbell, Ph.D., some rights reserved (CC BY-NC).
View Record Details
Media by
Emily Summerbell, Ph.D. via iNaturalist.
Hickory Bullet Gall Midge in Montgomery Co., Maryland (8/23/2020). (c) Emily Summerbell, Ph.D., some rights reserved (CC BY-NC).
View Record Details
Media by
Emily Summerbell, Ph.D. via iNaturalist.
Hickory Bullet Gall Midge galls in Harford Co., Maryland (8/19/2020). Verified by megachile/iNaturalist.
View Record Details
Media by
Dave Webb.
Hickory Bullet Galls in Baltimore City, Maryland (9/13/2011).
View Record Details
Media by
Thomas Wilson.
Hickory Bullet Gall Midge in Montgomery Co., Maryland (8/30/2020). (c) Emily Summerbell, some rights reserved (CC BY-NC).
View Record Details
Media by
Emily Summerbell, Ph.D. via iNaturalist.
Hickory Bullet Gall Midge in Montgomery Co., Maryland (8/23/2020). (c) Emily Summerbell, Ph.D., some rights reserved (CC BY-NC).
View Record Details
Media by
Emily Summerbell, Ph.D. via iNaturalist.
Hickory Bullet Gall Midge in Montgomery Co., Maryland (8/30/2020). (c) Emily Summerbell, some rights reserved (CC BY-NC).
View Record Details
Media by
Emily Summerbell, Ph.D. via iNaturalist.
Hickory Bullet Gall Midge in Montgomery Co., Maryland (8/23/2020). (c) Emily Summerbell, Ph.D., some rights reserved (CC BY-NC).
View Record Details
Media by
Emily Summerbell, Ph.D. via iNaturalist.
Hickory Bullet Gall Midge in Montgomery Co., Maryland (8/23/2020). (c) Emily Summerbell, Ph.D., some rights reserved (CC BY-NC).
View Record Details
Media by
Emily Summerbell, Ph.D. via iNaturalist.
Hickory Bullet Gall Midge in Montgomery Co., Maryland (8/23/2020). (c) Emily Summerbell, Ph.D., some rights reserved (CC BY-NC).
View Record Details
Media by
Emily Summerbell, Ph.D. via iNaturalist.
Hickory Bullet Gall Midge in Washington Co., Maryland (7/17/2021). (c) Mark Etheridge, some rights reserved (CC BY-NC).
View Record Details
Media by
Mark Etheridge.
Hickory Bullet Gall Midge in Montgomery Co., Maryland (7/11/2021). (c) Emily Summerbell, some rights reserved (CC BY).
View Record Details
Media by
Emily Summerbell, Ph.D. via iNaturalist.
Hickory Bullet Gall Midge in Montgomery Co., Maryland (7/9/2021). (c) Emily Summerbell, some rights reserved (CC BY).
View Record Details
Media by
Emily Summerbell, Ph.D. via iNaturalist.
Hickory Bullet Gall Midge in Montgomery Co., Maryland (7/9/2021). (c) Emily Summerbell, some rights reserved (CC BY).
View Record Details
Media by
Emily Summerbell, Ph.D. via iNaturalist.
Hickory Bullet Gall Midge in Washington Co., Maryland (9/3/2021). (c) Mark Etheridge, some rights reserved (CC BY-NC).
View Record Details
Media by
Mark Etheridge.
Hickory Bullet Gall Midge in Montgomery Co., Maryland (7/9/2021). (c) Emily Summerbell, some rights reserved (CC BY).
View Record Details
Media by
Emily Summerbell, Ph.D. via iNaturalist.
Hickory Bullet Gall Midge in Montgomery Co., Maryland (7/9/2021). (c) Emily Summerbell, some rights reserved (CC BY).
View Record Details
Media by
Emily Summerbell, Ph.D. via iNaturalist.
Hickory Bullet Gall Midge in Montgomery Co., Maryland (7/1/2023). (c) Katja Schulz, some rights reserved (CC BY).
View Record Details
Media by
Katja Schulz via iNaturalist.
Hickory Bullet Gall Midge in Montgomery Co., Maryland (7/1/2023). (c) Katja Schulz, some rights reserved (CC BY).
View Record Details
Media by
Katja Schulz via iNaturalist.
Hickory Bullet Gall Midge in Montgomery Co., Maryland (7/9/2021). (c) Emily Summerbell, some rights reserved (CC BY).
View Record Details
Media by
Emily Summerbell, Ph.D. via iNaturalist.
Hickory Bullet Gall Midge in Montgomery Co., Maryland (9/19/2021). (c) Emily Summerbell, some rights reserved (CC BY).
View Record Details
Media by
Emily Summerbell, Ph.D. via iNaturalist.
Hickory Bullet Gall Midge in Garrett Co., Maryland (7/13/2023). (c) Mark Etheridge, some rights reserved (CC BY-NC).
View Record Details
Media by
Mark Etheridge.
Hickory Bullet Gall Midge in Montgomery Co., Maryland (7/22/2023). (c) Emily Summerbell, some rights reserved (CC BY).
View Record Details
Media by
Emily Summerbell, Ph.D. via iNaturalist.
Hickory Bullet Gall Midge in Montgomery Co., Maryland (7/1/2023). (c) Katja Schulz, some rights reserved (CC BY).
View Record Details
Media by
Katja Schulz via iNaturalist.
Hickory Bullet Gall Midge in Talbot Co., Maryland (7/10/2023). (c) Matthew Beziat, some rights reserved (CC BY-NC).
View Record Details
Media by
Matthew Beziat.
Hickory Bullet Gall Midge in Montgomery Co., Maryland (8/15/2022). (c) Emily Summerbell, some rights reserved (CC BY).
View Record Details
Media by
Emily Summerbell, Ph.D. via iNaturalist.
Hickory Bullet Gall Midge in Montgomery Co., Maryland (7/22/2023). (c) Emily Summerbell, some rights reserved (CC BY).
View Record Details
Media by
Emily Summerbell, Ph.D. via iNaturalist.
A Hickory Bullet Gall Midge in Cecil Co., Maryland (8/6/2021).
View Record Details
Media by
Dave Webb.
Hickory Bullet Gall Midge in Dorchester Co., Maryland (9/4/2021). (c) Jim Brighton, some rights reserved (CC BY-NC).
View Record Details
Media by
Jim Brighton.
Hickory Bullet Gall Midge in Montgomery Co., Maryland (7/6/2022). (c) Emily Summerbell, some rights reserved (CC BY).
View Record Details
Media by
Emily Summerbell, Ph.D. via iNaturalist.
Hickory Bullet Gall Midge in Montgomery Co., Maryland (9/21/2022). (c) Emily Summerbell, some rights reserved (CC BY).
View Record Details
Media by
Emily Summerbell, Ph.D. via iNaturalist.
Hickory Bullet Gall Midge in Baltimore Co., Maryland (7/9/2023). (c) Matthew Beziat, some rights reserved (CC BY-NC).
View Record Details
Media by
Matthew Beziat.
Hickory Bullet Gall Midge in Montgomery Co., Maryland (7/22/2023). (c) Emily Summerbell, some rights reserved (CC BY).
View Record Details
Media by
Emily Summerbell, Ph.D. via iNaturalist.
Hickory Bullet Gall Midge in Montgomery Co., Maryland (10/11/2021). (c) Emily Summerbell, some rights reserved (CC BY).
View Record Details
Media by
Emily Summerbell, Ph.D. via iNaturalist.
Hickory Bullet Gall Midge in Dorchester Co., Maryland (9/30/2021). (c) Mark Etheridge, some rights reserved (CC BY-NC).
View Record Details
Media by
Mark Etheridge.
Hickory Bullet Gall Midge in Talbot Co., Maryland (7/10/2023). (c) Matthew Beziat, some rights reserved (CC BY-NC).
View Record Details
Media by
Matthew Beziat.
Hickory Bullet Gall Midge in Montgomery Co., Maryland (10/11/2021). (c) Emily Summerbell, some rights reserved (CC BY).
View Record Details
Media by
Emily Summerbell, Ph.D. via iNaturalist.
Hickory Bullet Gall Midge in Montgomery Co., Maryland (10/2/2021). (c) Emily Summerbell, some rights reserved (CC BY).
View Record Details
Media by
Emily Summerbell, Ph.D. via iNaturalist.
Hickory Bullet Gall Midge in Montgomery Co., Maryland (10/2/2021). (c) Emily Summerbell, some rights reserved (CC BY).
View Record Details
Media by
Emily Summerbell, Ph.D. via iNaturalist.
Hickory Bullet Gall Midge in Montgomery Co., Maryland (6/16/2023). (c) Emily Summerbell, some rights reserved (CC BY).
View Record Details
Media by
Emily Summerbell, Ph.D. via iNaturalist.
Hickory Bullet Gall Midge in Montgomery Co., Maryland (8/15/2022). (c) Emily Summerbell, some rights reserved (CC BY).
View Record Details
Media by
Emily Summerbell, Ph.D. via iNaturalist.
Hickory Bullet Gall Midge in Montgomery Co., Maryland (8/30/2022). (c) Emily Summerbell, some rights reserved (CC BY).
View Record Details
Media by
Emily Summerbell, Ph.D. via iNaturalist.
Hickory Bullet Gall Midge in Garrett Co., Maryland (7/13/2023). (c) Mark Etheridge, some rights reserved (CC BY-NC).
View Record Details
Media by
Mark Etheridge.
Hickory Bullet Gall Midge in Montgomery Co., Maryland (7/22/2023). (c) Matthew Beziat, some rights reserved (CC BY-NC).
View Record Details
Media by
Matthew Beziat.
Hickory Bullet Gall Midge in Montgomery Co., Maryland (7/22/2023). (c) Emily Summerbell, some rights reserved (CC BY).
View Record Details
Media by
Emily Summerbell, Ph.D. via iNaturalist.
Hickory Bullet Gall Midge in Dorchester Co., Maryland (10/5/2023). (c) Mark Etheridge, some rights reserved (CC BY-NC).
View Record Details
Media by
Mark Etheridge.
Hickory Bullet Gall Midge in Montgomery Co., Maryland (8/15/2022). (c) Emily Summerbell, some rights reserved (CC BY).
View Record Details
Media by
Emily Summerbell, Ph.D. via iNaturalist.
Hickory Bullet Gall Midge in Montgomery Co., Maryland (7/6/2022). (c) Emily Summerbell, some rights reserved (CC BY).
View Record Details
Media by
Emily Summerbell, Ph.D. via iNaturalist.
Hickory Bullet Gall Midge in Talbot Co., Maryland (7/10/2023). (c) Matthew Beziat, some rights reserved (CC BY-NC).
View Record Details
Media by
Matthew Beziat.
Hickory Bullet Gall Midge in Montgomery Co., Maryland (7/22/2023). (c) Emily Summerbell, some rights reserved (CC BY).
View Record Details
Media by
Emily Summerbell, Ph.D. via iNaturalist.
Hickory Bullet Gall Midge in Anne Arundel Co., Maryland (8/19/2023). (c) Emily Summerbell, some rights reserved (CC BY).
View Record Details
Media by
Emily Summerbell, Ph.D. via iNaturalist.
Hickory Bullet Gall Midge in Caroline Co., Maryland (9/6/2023). (c) Mark Etheridge, some rights reserved (CC BY-NC).
View Record Details
Media by
Mark Etheridge.
Hickory Bullet Gall Midge in Garrett Co., Maryland (Date obscured). (c) Josh Emm, some rights reserved (CC BY-NC).
View Record Details
Media by
Josh Emm.
Hickory Bullet Gall Midge in Montgomery Co., Maryland (10/11/2021). (c) Emily Summerbell, some rights reserved (CC BY).
View Record Details
Media by
Emily Summerbell, Ph.D. via iNaturalist.
Hickory Bullet Gall Midge in Montgomery Co., Maryland (8/15/2022). (c) Emily Summerbell, some rights reserved (CC BY).
View Record Details
Media by
Emily Summerbell, Ph.D. via iNaturalist.
Hickory Bullet Gall Midge in Montgomery Co., Maryland (8/5/2023). (c) Emily Summerbell, some rights reserved (CC BY).
View Record Details
Media by
Emily Summerbell, Ph.D. via iNaturalist.
Hickory Bullet Gall Midge in Montgomery Co., Maryland (8/15/2022). (c) Emily Summerbell, some rights reserved (CC BY).
View Record Details
Media by
Emily Summerbell, Ph.D. via iNaturalist.
Hickory Bullet Gall Midge in Baltimore Co., Maryland (7/9/2023). (c) Matthew Beziat, some rights reserved (CC BY-NC).
View Record Details
Media by
Matthew Beziat.
Hickory Bullet Gall Midge in Montgomery Co., Maryland (8/5/2023). (c) Emily Summerbell, some rights reserved (CC BY).
View Record Details
Media by
Emily Summerbell, Ph.D. via iNaturalist.
Hickory Bullet Gall Midge in Anne Arundel Co., Maryland (8/19/2023). (c) Emily Summerbell, some rights reserved (CC BY).
View Record Details
Media by
Emily Summerbell, Ph.D. via iNaturalist.
Hickory Bullet Gall Midge in Montgomery Co., Maryland (9/5/2023). (c) Emily Summerbell, some rights reserved (CC BY).
View Record Details
Media by
Emily Summerbell, Ph.D. via iNaturalist.
Hickory Bullet Gall Midge in Carroll Co., Maryland (9/10/2023). (c) Jim Moore (Maryland), some rights reserved (CC BY-NC).
View Record Details
Media by
Jim Moore.
Hickory Bullet Gall Midge in Anne Arundel Co., Maryland (7/15/2024). (c) Cathy Fahey, some rights reserved (CC BY-NC).
View Record Details
Media by
Cathy Fahey via iNaturalist.
Hickory Bullet Gall Midge in Montgomery Co., Maryland (8/16/2025). (c) Matthew Beziat, some rights reserved (CC BY-NC).
View Record Details
Media by
Matthew Beziat.
Hickory Bullet Gall Midge in Montgomery Co., Maryland (7/6/2022). (c) Emily Summerbell, some rights reserved (CC BY).
View Record Details
Media by
Emily Summerbell, Ph.D. via iNaturalist.
Hickory Bullet Gall Midge in St. Mary's Co., Maryland (10/1/2024). (c) jtylerbell, some rights reserved (CC BY-NC).
View Record Details
Media by
Tyler Bell.
Hickory Bullet Gall Midge in Montgomery Co., Maryland (7/1/2023). (c) Katja Schulz, some rights reserved (CC BY).
View Record Details
Media by
Katja Schulz via iNaturalist.
Hickory Bullet Gall Midge in Caroline Co., Maryland (9/7/2024). (c) Zachary Osucha, some rights reserved (CC BY-NC).
View Record Details
Media by
zosucha via iNaturalist.
Hickory Bullet Gall Midge in Anne Arundel Co., Maryland (8/28/2025). (c) Matthew Beziat, some rights reserved (CC BY-NC).
View Record Details
Media by
Matthew Beziat.
Hickory Bullet Gall Midge in Queen Anne's Co. (9/8/2025). (c) Matthew Beziat, some rights reserved (CC BY-NC)
View Record Details
Media by
Matthew Beziat.
Hickory Bullet Gall Midge in Montgomery Co., Maryland (8/16/2025). (c) Matthew Beziat, some rights reserved (CC BY-NC)
View Record Details
Media by
Matthew Beziat.
Hickory Bullet Gall Midge in Montgomery Co., Maryland (8/16/2025). (c) Matthew Beziat, some rights reserved (CC BY-NC)
View Record Details
Media by
Matthew Beziat.
Hickory Bullet Gall Midge in Montgomery Co., Maryland (8/16/2025). (c) Matthew Beziat, some rights reserved (CC BY-NC)
View Record Details
Media by
Matthew Beziat.
Hickory Bullet Gall Midge in Montgomery Co., Maryland (8/16/2025). (c) Matthew Beziat, some rights reserved (CC BY-NC)
View Record Details
Media by
Matthew Beziat.
Hickory Bullet Gall Midge in Montgomery Co., Maryland (10/29/2023). (c) Katja Schulz, some rights reserved (CC BY).
View Record Details
Media by
Katja Schulz via iNaturalist.
Hickory Bullet Gall Midge in Montgomery Co., Maryland (8/15/2022). (c) Emily Summerbell, some rights reserved (CC BY).
View Record Details
Media by
Emily Summerbell, Ph.D. via iNaturalist.
Hickory Bullet Gall Midge in Montgomery Co., Maryland (10/15/2023). (c) Matthew Beziat, some rights reserved (CC BY-NC).
View Record Details
Media by
Matthew Beziat.
Hickory Bullet Gall Midge in Anne Arundel Co., Maryland (7/15/2024). (c) Cathy Fahey, some rights reserved (CC BY-NC).
View Record Details
Media by
Cathy Fahey via iNaturalist.
Hickory Bullet Gall Midge in Anne Arundel Co., Maryland (8/19/2023). (c) Emily Summerbell, some rights reserved (CC BY).
View Record Details
Media by
Emily Summerbell, Ph.D. via iNaturalist.
Hickory Bullet Gall Midge in Montgomery Co., Maryland (10/29/2023). (c) Katja Schulz, some rights reserved (CC BY).
View Record Details
Media by
Katja Schulz via iNaturalist.
Hickory Bullet Gall Midge in Anne Arundel Co. (9/5/2025). (c) Matthew Beziat, some rights reserved (CC BY-NC)
View Record Details
Media by
Matthew Beziat.
Source: Wikipedia
| Caryomyia tubicola | |
|---|---|
| Leaf galls caused by C. tubicola | |
| Scientific classification | |
| Kingdom: | Animalia |
| Phylum: | Arthropoda |
| Clade: | Pancrustacea |
| Class: | Insecta |
| Order: | Diptera |
| Family: | Cecidomyiidae |
| Supertribe: | Cecidomyiidi |
| Tribe: | Cecidomyiini |
| Genus: | Caryomyia |
| Species: | C. tubicola
|
| Binomial name | |
| Caryomyia tubicola (Osten Sacken, 1862)
| |
| Synonyms[1] | |
| |
Caryomyia tubicola, the hickory bullet gall midge, is a species of gall midge in the family Cecidomyiidae.[1][2][3]
References
[edit]- ^ a b "Caryomyia tubicola Report". Integrated Taxonomic Information System. Retrieved 2019-09-23.
- ^ "Caryomyia tubicola". GBIF. Retrieved 2019-09-23.
- ^ "Caryomyia tubicola species Information". BugGuide.net. Retrieved 2019-09-23.
Further reading
[edit]- Gagné, Raymond J.; Jaschhof, Mathias (2017). A Catalog of the Cecidomyiidae (Diptera) of the World, Fourth Edition (PDF). Agricultural Research Service, US Department of Agriculture. Archived from the original (PDF) on March 28, 2018.
- Gagné, Raymond J.; Jaschhof, Mathias (2014). A Catalog of the Cecidomyiidae (Diptera) of the World (PDF) (Report). Systematic Entomology Laboratory, USDA. Archived from the original (PDF) on March 18, 2014.