Map Snapshot
9 Records
Relationships
The galls of this genus form on hackberry (Celtis) leaves.
Citations
No citations linked for this taxon yet.
Use of media featured on Maryland
Biodiversity Project is only permitted with express permission of the
photographer.
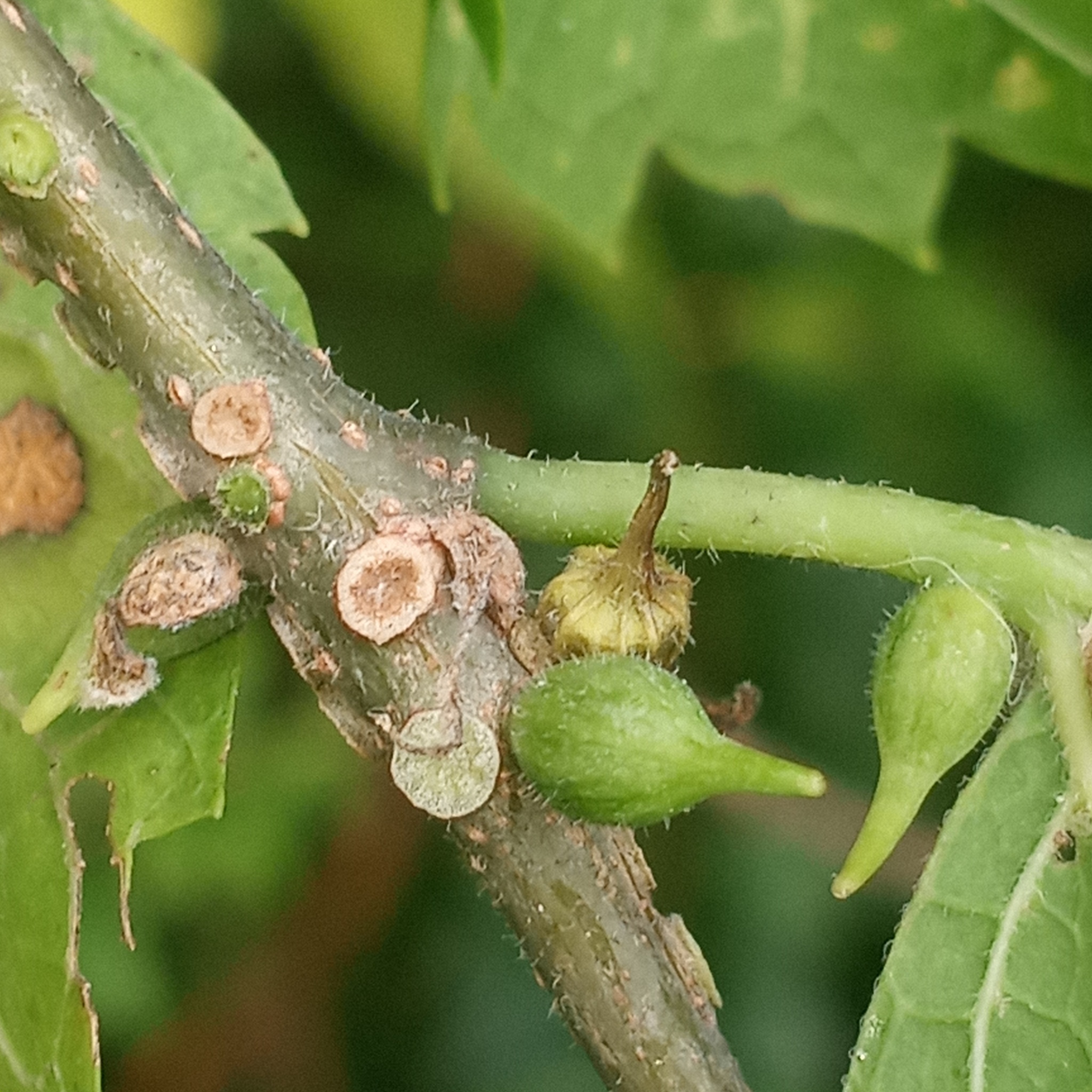
Hackberry Tenpin Gall Midge galls on Celtis in Baltimore City, Maryland (6/7/2012). Determined by Charley Eiseman/BugGuide. This is a new genus of gall midges for MBP.
View Record Details
Media by
Thomas Wilson.
Hackberry Tenpin Gall Midge galls on Celtis in Baltimore City, Maryland (6/7/2012). Determined by Charley Eiseman/BugGuide.
View Record Details
Media by
Thomas Wilson.
Hackberry Tenpin Gall Midge in Wicomico Co., Maryland (7/29/2024). (c) Wayne Longbottom, some rights reserved (CC BY-NC).
View Record Details
Media by
Wayne Longbottom.
Hackberry Tenpin Gall Midge in Wicomico Co., Maryland (7/29/2024). (c) Wayne Longbottom, some rights reserved (CC BY-NC).
View Record Details
Media by
Wayne Longbottom.
Hackberry Tenpin Gall Midge in Wicomico Co., Maryland (7/29/2024). (c) Wayne Longbottom, some rights reserved (CC BY-NC).
View Record Details
Media by
Wayne Longbottom.