Map Snapshot
3 Records
Citations
No citations linked for this taxon yet.
Use of media featured on Maryland
Biodiversity Project is only permitted with express permission of the
photographer.
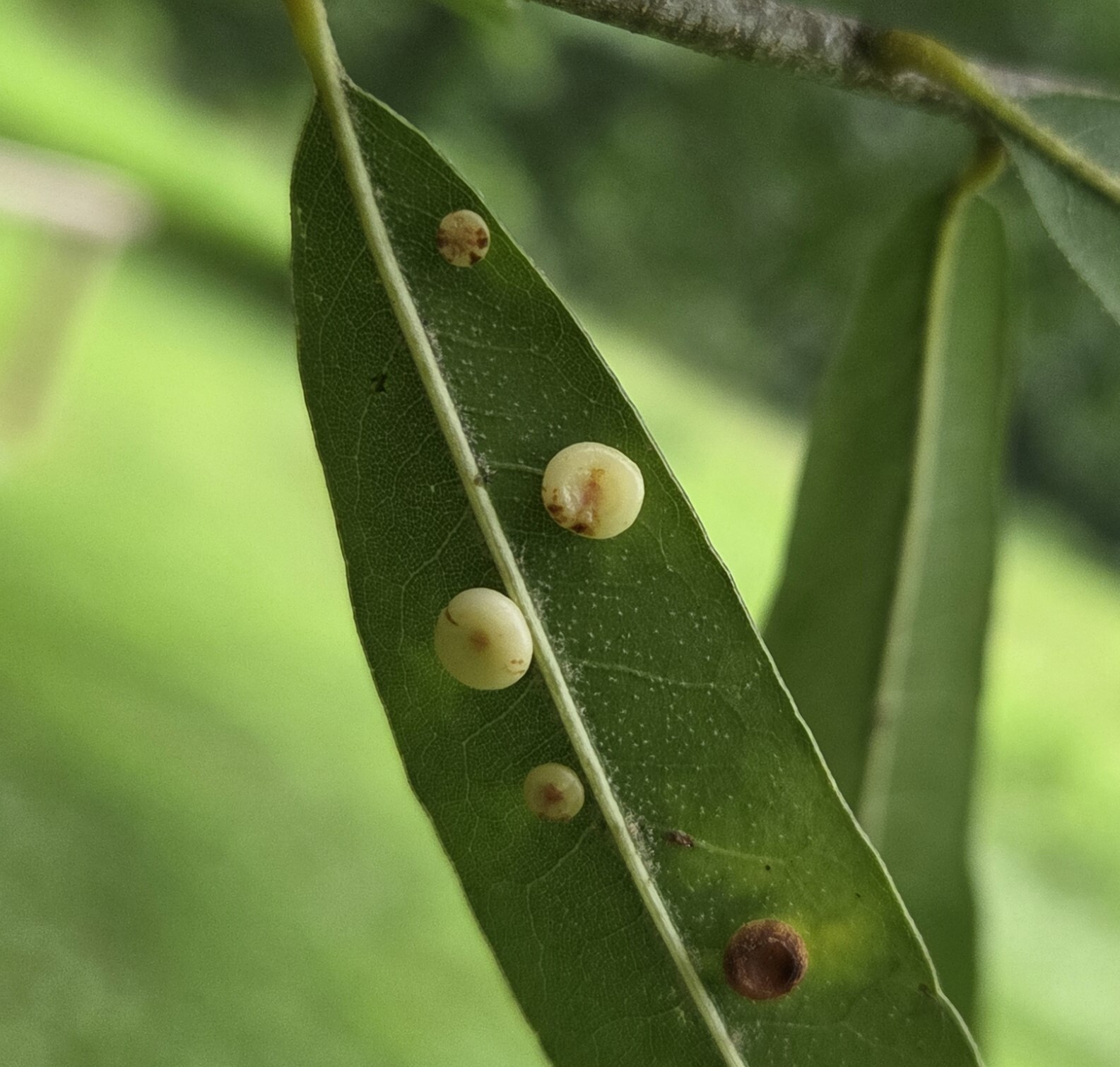
Dryocosmus albidus in Anne Arundel Co., Maryland (6/22/2023). (c) Joe MDO, some rights reserved (CC BY-NC).
View Record Details
Media by
Joe MDO via iNaturalist.
Dryocosmus albidus in Anne Arundel Co., Maryland (6/22/2023). (c) Joe MDO, some rights reserved (CC BY-NC).
View Record Details
Media by
Joe MDO via iNaturalist.
Dryocosmus albidus in Carroll Co., Maryland (7/12/2025). (c) Matthew Beziat, some rights reserved (CC BY-NC).
View Record Details
Media by
Matthew Beziat.
Dryocosmus albidus in Harford Co., Maryland (8/16/2023). (c) kidneymoth, some rights reserved (CC BY-NC).
View Record Details
Media by
kidneymoth via iNaturalist.
Dryocosmus albidus in Harford Co., Maryland (8/16/2023). (c) kidneymoth, some rights reserved (CC BY-NC).
View Record Details
Media by
kidneymoth via iNaturalist.