Map Snapshot
36 Records
Citations
No citations linked for this taxon yet.
Use of media featured on Maryland
Biodiversity Project is only permitted with express permission of the
photographer.
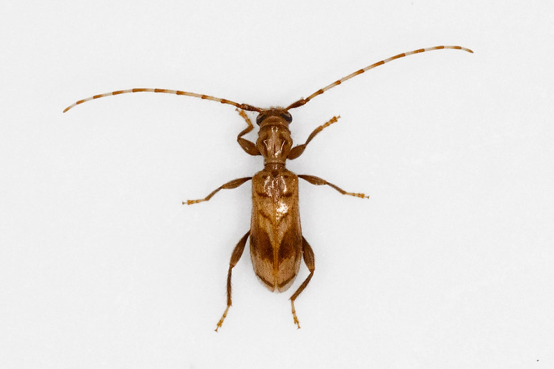
An Obrium maculatum in Frederick Co., Maryland (7/18/2015). Verified by Blaine Mathison/BugGuide.
View Record Details
Media by
Mark Etheridge.
Obrium maculatum in Carroll Co., Maryland (7/18/2023). (c) Adrienne van den Beemt, some rights reserved (CC BY).
View Record Details
Media by
Adrienne van den Beemt.
Obrium maculatum in Carroll Co., Maryland (7/7/2024).
View Record Details
Media by
Barbara Speckart.
An Obrium maculatum in Anne Arundel Co., Maryland (6/12/2015). Determined by Bruce Tilden and Blaine Mathison via BugGuide.
View Record Details
Media by
Bill Hubick.
Obrium maculatum in Carroll Co., Maryland (6/24/2020). (c) Emilio Concari, some rights reserved (CC BY-NC).
View Record Details
Media by
Emilio Concari.
Obrium maculatum in Washington Co., Maryland (7/8/2022). (c) Mark Etheridge, some rights reserved (CC BY-NC).
View Record Details
Media by
Mark Etheridge.
Obrium maculatum in Anne Arundel Co., Maryland (6/17/2015). Measured 6 mm.
View Record Details
Media by
Bill Hubick.
Obrium maculatum in Prince George's Co., Maryland (Date obscured). (c) trinectes, all rights reserved.
View Record Details
Media by
Robert Aguilar, SERC.
An Obrium maculatum in Cecil Co., Maryland (7/5/2016). Verified by V. Belov/BugGuide.
View Record Details
Media by
Shannon Schade.
An Obrium maculatum in Prince George's Co., Maryland (6/22/2017). Determined by Brad Barnd/BugGuide.
View Record Details
Media by
Barbara Thurlow.
Obrium maculatum in Harford Co., Maryland (Date obscured). (c) Mariko, some rights reserved (CC BY-NC).
View Record Details
Media by
Mariko via iNaturalist.
An Obrium maculatum in Frederick Co., Maryland (7/3/2015). Determined by Blaine Mathison/BugGuide.
View Record Details
Media by
Mark Etheridge.
Source: Wikipedia
| Obrium maculatum | |
|---|---|
| Scientific classification | |
| Kingdom: | Animalia |
| Phylum: | Arthropoda |
| Class: | Insecta |
| Order: | Coleoptera |
| Suborder: | Polyphaga |
| Infraorder: | Cucujiformia |
| Family: | Cerambycidae |
| Genus: | Obrium |
| Species: | O. maculatum
|
| Binomial name | |
| Obrium maculatum (Olivier, 1795)
| |
Obrium maculatum is a species of beetle in the family Cerambycidae. It was described by Guillaume-Antoine Olivier in 1795.[1]
References
[edit]- ^ Bezark, Larry G. A Photographic Catalog of the Cerambycidae of the World Archived 2013-08-27 at the Wayback Machine. Retrieved on 22 May 2012.